Ga naar inhoud

Te koop: woonhuis Hienkershoff 5 6621 AV Dreumel

Verkocht o.v.

€ 398.000,- k.k.

2-onder-1-kapwoning met grote garage en zonnige tuin in hartje Dreumel!

Op zoek naar een fijne gezinswoning met verrassend veel ruimte? Dan is deze woning zeker een bezoek waard! Deze uitgebouwde 2-onder-1-kapwoning biedt alles wat je zoekt: een royale woonkamer, woonkeuken, 3 slaapkamers, een grote garage/hobbyruimte die ook uitstekend te gebruiken is als hobbyruimte èn een zonnige tuin op het zuidwesten, midden in het dorp.

De woning is gelegen in de dorpskern van Dreumel, op loopafstand van onder andere: winkels, basisschool, sportverenigingen en het zwembad. Een ideale plek voor gezinnen, die het gemak van voorzieningen dichtbij willen combineren met wonen in een groene en levendige omgeving.

Via de ruime hal kom je binnen in de lichte L-vormige woonkamer. Hier is plek genoeg voor een gezellige zithoek en een ruime eethoek. De aangebouwde woonkeuken met openslaande deuren biedt een directe verbinding met de zonnige achtertuin. Op de 1e verdieping vind je 3 slaapkamers en een badkamer met douche en wastafelmeubel. Via een vaste trap bereik je de bergzolder, ideaal als extra opslagruimte.

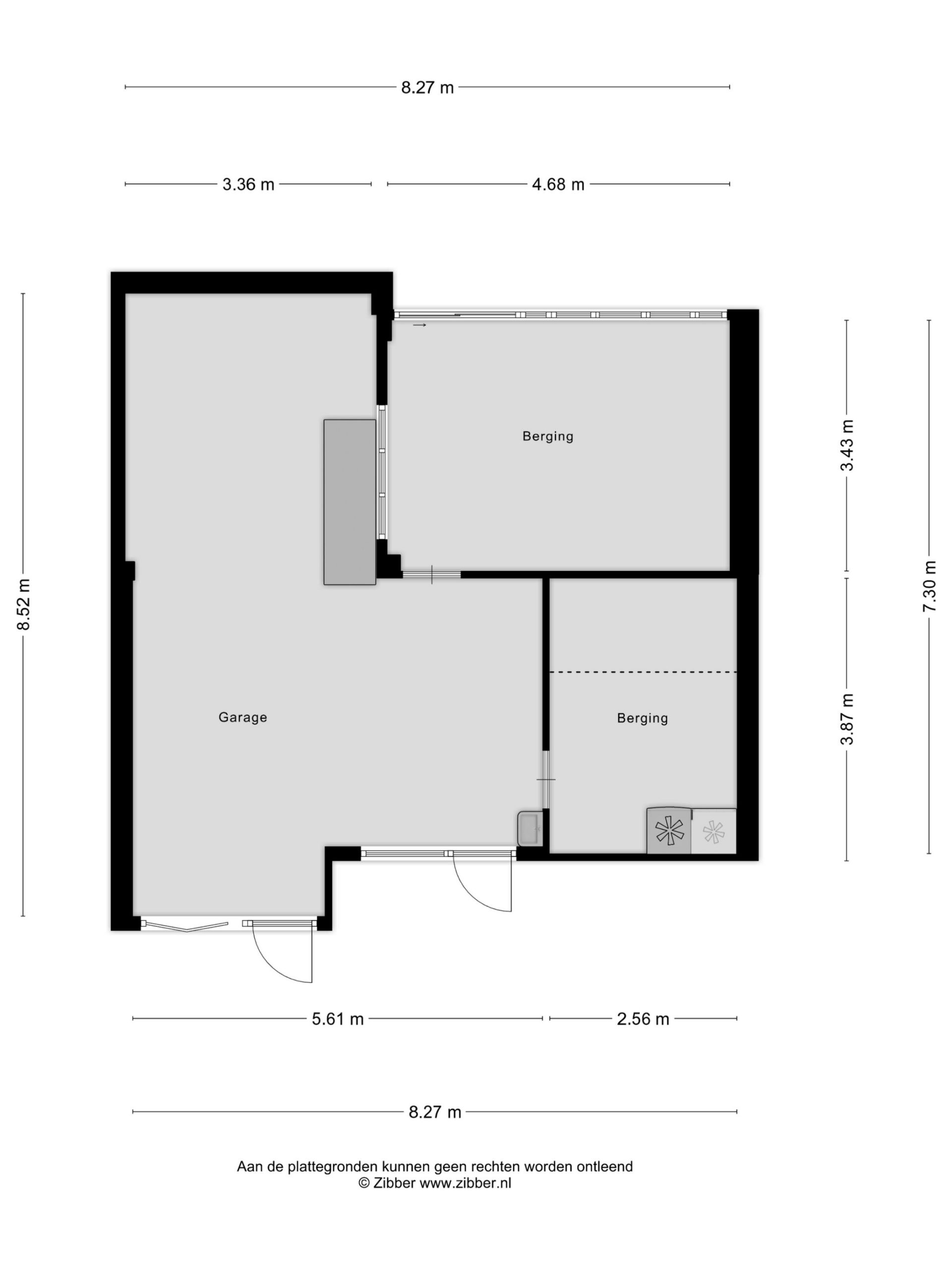
De tuin ligt op het zuidwesten en biedt daardoor volop zonuren. Aan de voorzijde beschikt de woning over een royale oprit voor de auto. De grote garage met aangebouwde berging maakt deze woning extra praktisch voor hobbyisten of gezinnen die behoefte hebben aan veel bergruimte.

Wat deze woning bijzonder maakt:
– uitgebouwde woonkamer en woonkeuken met openslaande deuren naar de tuin;
– 3 slaapkamers van goed formaat;
– grote garage met berging: ideaal voor hobby, werk of opslag;
– zonnige achtertuin op het zuid/zuidwesten.
– oprit met parkeerplaats op eigen terrein.

Ligging
Hienkershoff 5 ligt in een rustige woonwijk in de dorpskern van Dreumel. Alle dagelijkse voorzieningen zoals supermarkt, winkels, basisschool, sportvelden, horeca en zwembad zijn op loopafstand bereikbaar. De prachtige uiterwaarden, recreatiegebied De Gouden Ham en de vele fiets- en wandelroutes in het Land van Maas en Waal liggen om de hoek. Dankzij de centrale ligging ben je in circa 25 minuten in steden als Nijmegen, ’s-Hertogenbosch en Tiel. Ook Utrecht is goed bereikbaar.

Kortom: een woning met volop mogelijkheden, gelegen op een ideale plek in een gezellig dorp. Kom zelf ervaren wat dit huis je te bieden heeft!

Indeling van het huis:
begane grond:
– hal met toilet en provisiekast;
– L-vormige woonkamer (circa 29 m²);
– aangebouwde keuken met 2 openslaande tuindeuren naar de tuin;
– provisieruimte.

1e verdieping:
– overloop;
– 3 slaapkamers (ca. 22 m², 12 m² en 9 m²);
– badkamer met douche en wastafelmeubel.

2e verdieping:
– met vaste trap te bereiken bergzolder.

Diversen:
– bouwjaar 1969;
– zowel de begane grond als de 1e verdieping zijn aan de achterzijde uitgebouwd;
– grote garage met aangebouwde berging (samen circa. 63 m²);
– Energielabel C.

  • 107 m2
  • 284 m2
  • 3

Kenmerken Hienkershoff 5

Overdracht

Vraagprijs€ 398.000,- k.k.
AanvaardingIn overleg

Oppervlaktes en inhoud

Perceel oppervlakte284 m2
Woonoppervlakte107 m2
Inhoud385 m3

Bouw

SoortEengezinswoning
BouwvormBestaande bouw
Bouwjaar1969
Dak typeZadeldak
IsolatievormenDakisolatie, Muurisolatie, Vloerisolatie, Dubbelglas
EnergielabelC

Indeling

Aantal verdiepingen3
Aantal kamers5
Aantal slaapkamers3
Aantal badkamers1

Maandlasten

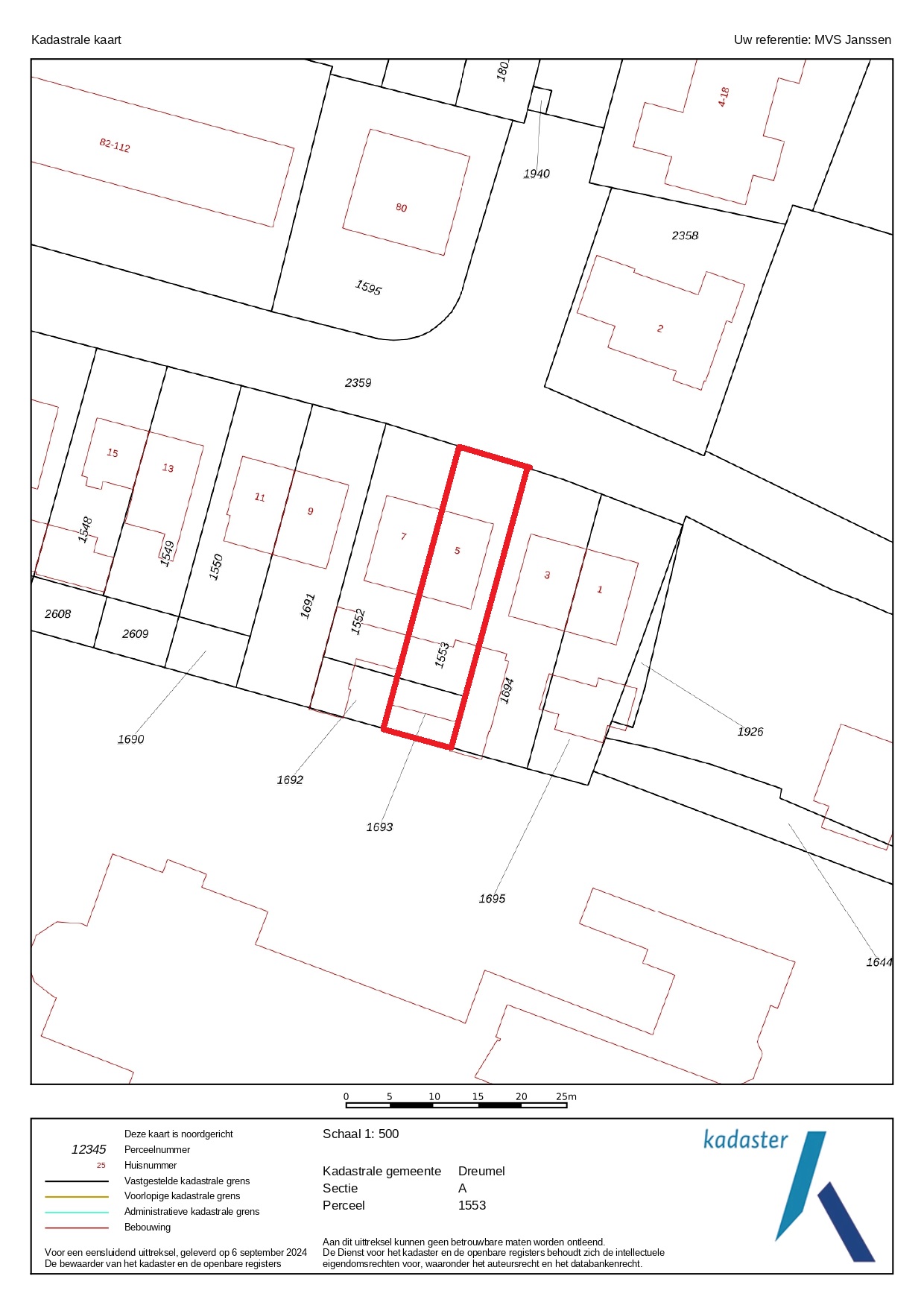
Ligging Hienkershoff 5

Voorzieningen

Centraal gelegen informatie over de buurt

Aantal inwoners

In de gemeente

18.820

Leeftijd

in percentages van totaal

Huishoudsamenstelling

in percentages van totaal

32%

20% NL

36%

20% NL

32%

20% NL

Vergelijkbaar woningaanbod