Ga naar inhoud

Te koop: bouwgrond Oude Maasdijk 24 6621 AC Dreumel

Beschikbaar

Bezichtiging plannen

€ 375.000,- k.k.

Bouw je droomhuis aan de Oude Maasdijk 24 te Dreumel!

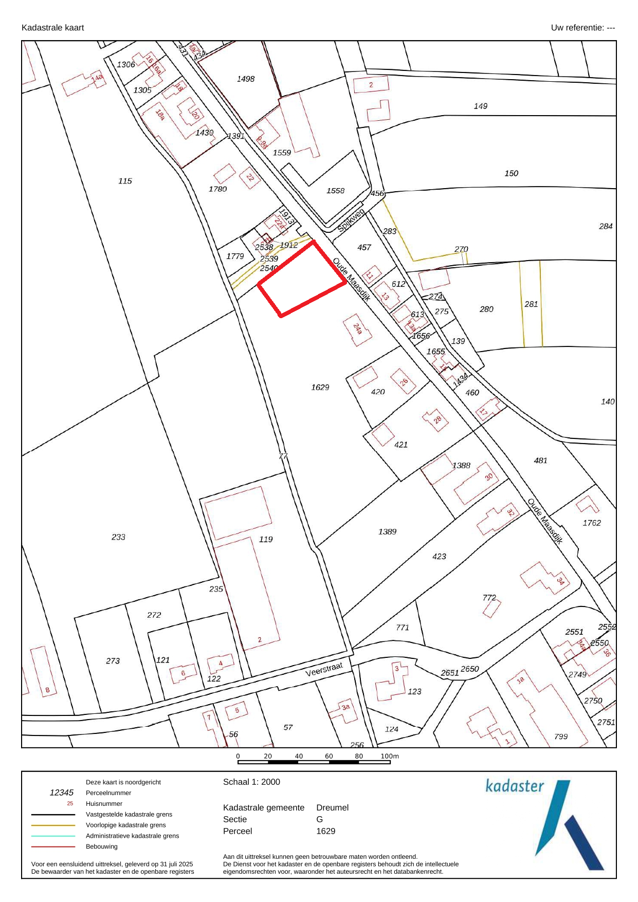
Altijd al de wens gehad om je eigen woning te bouwen op een unieke locatie? Dat kan op deze prachtige kavel in Dreumel van circa 1100 m².

De kavel is omringd door veel bomen en groen, waardoor je hier volop rust en privacy ervaart. De natuurlijke omgeving benadrukt het landelijke karakter en maakt dit een prachtige plek om te wonen.
De ligging is bijzonder landelijk: omringd door veel groen en op korte afstand van de uiterwaarden. Hier geniet je dagelijks van rust, ruimte en het vrije buitenleven. Vanuit de kavel heb je een weids uitzicht over het landschap, terwijl de directe omgeving wordt gekenmerkt door het kleinschalige, dorpse karakter. De aanwezigheid van bomen, groenstroken en open velden zorgt voor een unieke combinatie van beschutting en vrijheid.

Op deze kavel is door de gemeente West Maas en Waal een vergunning verleend voor de bouw van een vrijstaande levensloopbestendige woning met bijgebouw. De kosten voor de onderzoeken, gemeentelijke leges voor de vergunningaanvraag en projectkosten zijn reeds door de huidige eigenaar voldaan, wat aanzienlijk scheelt in de totale bouwkosten. De bouwtekening is bij ons op kantoor beschikbaar. Er is tevens de mogelijkheid om in overleg met de gemeente zelf een bouwplan in te dienen.

Locatie
Dreumel ligt in de gemeente West Maas en Waal, een gebied dat bekend staat om zijn boomgaarden, uiterwaarden en de ligging tussen de rivieren Maas en Waal. Voorzieningen zoals winkels, scholen en sportclubs zijn dichtbij te vinden in Dreumel zelf en in de nabije plaatsen zoals Beneden-Leeuwen en Druten. Ook grotere steden als Nijmegen, Den Bosch en Utrecht zijn goed bereikbaar.

Voor natuurliefhebbers en recreanten is dit een ideale omgeving: volop fiets- en wandelroutes en diverse recreatiemogelijkheden, waaronder het populaire recreatiegebied De Gouden Ham voor waterliefhebbers.

Diversen
– kavelgrootte ca. 1100 m²;
– vrijstaande levensloopbestendige woning met bijgebouw;
– ligging: landelijk, groene omgeving met veel privacy.

  • 1.100 m2

Kenmerken Oude Maasdijk 24

Overdracht

Koopprijs€ 375.000,- k.k.
AanvaardingDirect

Oppervlaktes en inhoud

Perceel oppervlakte1.100 m2
Inhoud0 m3

Bouw

BouwvormNiet van toepassing

Indeling

Aantal verdiepingen0

Maandlasten

Ligging Oude Maasdijk 24

Voorzieningen

Centraal gelegen informatie over de buurt

Aantal inwoners

In de gemeente

18.820

Leeftijd

in percentages van totaal

Huishoudsamenstelling

in percentages van totaal

32%

20% NL

36%

20% NL

32%

20% NL

Vergelijkbaar woningaanbod